Consiliul Local a aprobat: Biserica Ortodoxă ridică altar de vară lângă Lidl
Consiliul Local Satu Mare a aprobat planul urbanistic zonal pentru construirea unui altar de vară de către Parohia Satu Mare 7, care a decis să ridice un altar de vară în imediata apropiere a supermar...
27 iunie 2018
2 min citire
Consiliul Local Satu Mare a aprobat planul urbanistic zonal pentru construirea unui altar de vară de către Parohia Satu Mare 7, care a decis să ridice un altar de vară în imediata apropiere a supermarketului Lidl. În acest sens, a și depus o serie de documente în vederea obținerii autorizației.
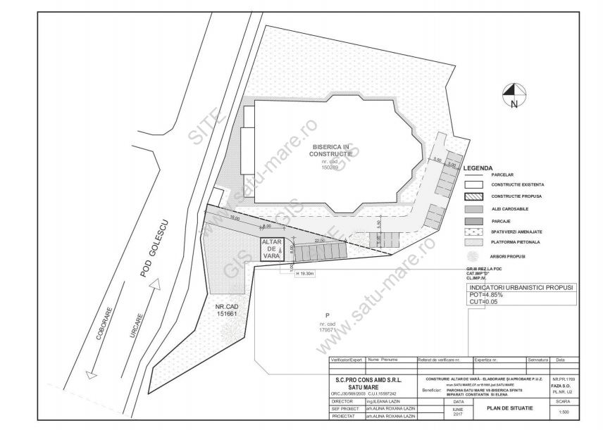
[gallery columns="1" size="full" ids="35911,35919,35917,35916,35915"]
”Amplasamentul studiat se află în intravilanul municipiului Satu Mare, cu acces pe partea estică a Bulevardului Lalelei (Pod Golescu), afiându-se în vecinătatea Bisercii Sfinfii Împăraţi Constantin şi Elena Satu Mare, de la nord de parcela studiată, respectiv se învecinează în sud şi est cu Supermarketul aflat în proprietatea S.C. Lidl S.R.L. Terenul care urmează a fi reglementat prin PUZ are o suprafata de 1 340,00 mp”, se arată în documentația depusă în vederea aprobării Planului Urbanistic Zonal.

Terenul este al statului român, dar a fost dat în concesiune Parohiei Ortodoxe 7.
”Acesta este în proprietatea municipiului Satu Mare, cu drept de folosință Parohia Satu Mare VII- Biserica Sfinţii Împăraţi Constantin şi Elena, înscris în C.F. nr. 151661, având folosința de teren arabil în intravilan. (...) Accesul la parcele se va face din Bulevardul Lalelei printr-o alee carosabilă, care să deservescă accesul si la Biserica vecină”, se arată în documente.