Meniu

Caută pe PresaSM

0

FOTO. Cutremur de 4,2 în România. Unda seismică a ajuns și în județul Satu Mare

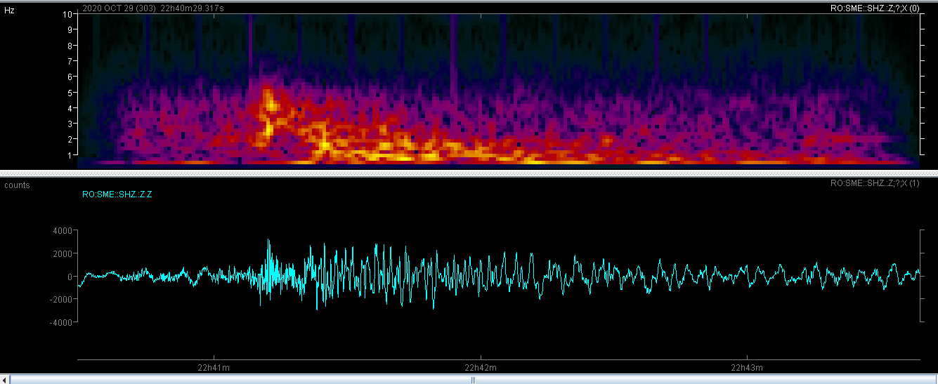
Seismometrul de la Colegiul Național ”Mihai Eminescu” din Satu Mare a înregistrat un cutremur cu magnitudinea de 4,2 grade pe scara Richter, care s-a produs în județul Vaslui. Undele seismice au ajuns...

Seismometrul de la Colegiul Național ”Mihai Eminescu” din Satu Mare a înregistrat un cutremur cu magnitudinea de 4,2 grade pe scara Richter, care s-a produs în județul Vaslui.

Undele seismice au ajuns în municipiul Satu Mare în jurul orei 00.40.

”Înregistrarea cu seismometrul de la Colegiul Național Mihai Eminescu a cutremurului de magnitudine 4.2, produs astăzi în județul Vaslui, la ora 00:39:36. Cutremurul s-a produs la adâncimea de 8 km, la distanța de 360 km de Satu Mare. Unda seismică P a ajuns la Satu Mare la ora 00:40:39, iar unda S la ora 00:41:10”, se arată pe pagina de Facebook a Colegiului Național ”Mihai Eminescu”.

Citește și

Scandal violent într-un bar din Carei: un individ a înjunghiat un bărbat în plină zi
Actualitate

Scandal violent într-un bar din Carei: un individ a înjunghiat un bărbat în plină zi

acum 3 ore
FOTO. Pieton în stare gravă, lovit de un BMW pe ”zebră”. Mașina s-a oprit după 54 de metri
Actualitate

FOTO. Pieton în stare gravă, lovit de un BMW pe ”zebră”. Mașina s-a oprit după 54 de metri

acum 15 ore
LISTĂ. Prețurile carburanților continuă să scadă în Satu Mare. Motorina scade sub 9 lei, benzina scade spre 8 lei
Actualitate

LISTĂ. Prețurile carburanților continuă să scadă în Satu Mare. Motorina scade sub 9 lei, benzina scade spre 8 lei

acum 20 ore
FOTOGALERIE. Invazie de persoane fără adăpost pe malul Someșului, în zona de picnic din Satu Mare!
Actualitate

FOTOGALERIE. Invazie de persoane fără adăpost pe malul Someșului, în zona de picnic din Satu Mare!

acum 20 ore
Mii de hectare, în special livezi, afectate de îngheț la Satu Mare. Se vor face verificări în teren
Actualitate

Mii de hectare, în special livezi, afectate de îngheț la Satu Mare. Se vor face verificări în teren

acum 22 ore
Fugar din Satu Mare, identificat în Belgia! Adus ASTĂZI sub escortă în arestul IPJ Satu Mare 
Actualitate

Fugar din Satu Mare, identificat în Belgia! Adus ASTĂZI sub escortă în arestul IPJ Satu Mare 

acum 23 ore
SATU MARE. Fără permis, a intrat cu ATV-ul într-o mașină. Două victime și o gafă făcută de mulți sătmăreni
Actualitate

SATU MARE. Fără permis, a intrat cu ATV-ul într-o mașină. Două victime și o gafă făcută de mulți sătmăreni

17 aprilie 2026
Amenzi de mii de lei pentru crescătorii din animale dintr-o localitatea sătmăreană. DSVSA a fost în control
Actualitate

Amenzi de mii de lei pentru crescătorii din animale dintr-o localitatea sătmăreană. DSVSA a fost în control

17 aprilie 2026
Controalele înainte de Paște la Satu Mare s-au lăsat cu amenzi consistente. Ce nereguli au găsit cei de la DSVSA
Actualitate

Controalele înainte de Paște la Satu Mare s-au lăsat cu amenzi consistente. Ce nereguli au găsit cei de la DSVSA

17 aprilie 2026
FOTO. Accident pe DN19, Satu Mare - Baia Mare. Impact între un autoturism și un microbuz școlar
Actualitate

FOTO. Accident pe DN19, Satu Mare - Baia Mare. Impact între un autoturism și un microbuz școlar

17 aprilie 2026
Incident grav la un mare spital din țară. Un bărbat a furat o țeavă şi un robinet și a lăsat pacienții de la ATI fără oxigen
Actualitate

Incident grav la un mare spital din țară. Un bărbat a furat o țeavă şi un robinet și a lăsat pacienții de la ATI fără oxigen

17 aprilie 2026
Cum va fi vremea în weekend la Satu Mare. Când scad, din nou, temperaturile
Actualitate

Cum va fi vremea în weekend la Satu Mare. Când scad, din nou, temperaturile

17 aprilie 2026

Dezvoltat cu de Ottoweb

Alte știri pentru tine

Altă știre 0/0
Comentarii Anchete Politică Necitite